Pique-Nique chez le vigneron au domaine Moritz à Andlau
Cette année encore, face à la longue liste des domaines participant à l’organisation du « Pique-nique chez le vigneron », le choix de mon point de chute de ce lundi de Pentecôte fut un véritable crève-cœur.
Finalement j’ai décidé de me rendre du côté d’Andlau et de Blienschwiller où Claude Moritz et son équipe nous avaient préparé une journée mémorable avec un programme qui prévoyait une visite de cave, une promenade sur le Kastelberg, un repas convivial et la dégustation de quelques vieux vins du domaine.
Le ciel est bleu, le soleil brille et je commence à avoir les papilles qui frétillent...
Hoppla c’est parti !

Grâce à une circulation étonnamment fluide au sortir de Strasbourg, j’arrive dans le secteur d’Andlau avec un peu d’avance ce qui me laisse le temps d’aller faire un petit crochet par Mittelbergheim pour me promener sur le Zotzenberg et profiter de cette belle lumière matinale pour faire quelques photos.

Vu du Zotzenberg : Mittelbergheim et Andlau au loin.

Le château du Haut Andlau et la partie ouest du Zotzenberg

Barr et le coteau du Kirchberg
Après ce petit tour de chauffe dans les vignes de Mittelbergheim je me retrouve à Andlau, où un petit groupe d’amateurs de vins est en train de se constituer devant la porte du domaine Moritz.

Rassemblement matinal à Andlau en compagnie de Claude Moritz
Nous commençons cette journée par une visite du cuvage et des caves du domaine. Claude Moritz nous explique sa façon de travailler en décrivant les différentes phases de l’élaboration de ses vins :
- les 12 hectares de vignes du domaine sont conduits en viticulture raisonnée depuis 1981 : « nous n’avons pas le label bio mais nos pratiques viticoles sont très respectueuses de l’environnement…pour preuve, nous avons des ruches dans nos vignes ».
- les vendanges sont exclusivement manuelles
- les raisins blancs subissent un pressurage très lent (7 heures) dans un grand pressoir pneumatique (4 à 4,5 tonnes de raisins) « pour ne pas brutaliser les raisins et obtenir un jus très clair »
- le débourbage se fait en cuves inox de 12 à 30 heures puis on effectue le tirage des jus clairs vers des foudres en chêne pour les fermentations « qui se font exclusivement sous l’effet des levures indigènes ». Les bourbes sont gardées au frais puis filtrées et le jus obtenu est rajouté au vin clair.
- les vins blancs sont élevés durant 12 mois en foudres.

Claude Moritz dans sa cave à foudres dont certains ont plus de 150 ans.

- les pinots noirs sont égrappés puis entonnés dans des citernes pour une période de macération de 5 à 6 jours avec des remontages réguliers (2 à 3 fois par jour).
« Dès que la couleur du jus nous semble assez intense le moût est pressé ». Les élevages se font en foudres où en barriques de chêne des Vosges et du Tronçais. « il y a une barrique neuve, les autres ont entre 1 à 5 ans ».

Le chai à barriques avec quelques petits foudres
- les crémants sont réalisés à partir de pinots blancs pour le Brut et de pinots noirs pour le Brut Rosé. Ces deux cuvées sont élevées durant 15 mois sur lattes.
La cuvée Emotion est issue d’un assemblage de pinots blancs et de pinots gris (nés sur un terroir de schistes) élevé durant 24 mois sur lattes.
- pour ce qui est du SO2, les doses utilisées sont minimales « avec une bonne hygiène à la vigne et en cave, les vins n’ont pas besoin d’être protégés par un sulfitage excessif ».
Après cette petite demi-heure au frais dans la cave du domaine Moritz, nous partons en direction des pentes ensoleillées des coteaux d’Andlau pour faire notre promenade apéritive qui nous mènera au sommet du Kastelberg.

Des vignes au pied du Kastelberg…

A la limite est du Kastelberg, la jeune vigne d’Antoine Kreydenweiss sur le Wiebelsberg
Après une petite grimpette nous arrivons au pied de la parcelle de rieslings du domaine Moritz : « c’est une parcelle de 1,02 hectares d’un seul tenant avec des vignes âgées de 50 à 60 ans »
Les rangs sont étroits et enherbés : « avec des rangs serrés le feuillage peut avoir un effet parasol lors des épisodes caniculaires ».

Le bas de la parcelle de rieslings du domaine Moritz…

…et Claude qui parle de son travail à la vigne.
Dans les secteurs les plus pentus de cette parcelle le père de Claude Moritz a construit des murets en pierre sèche pour y créer des terrasses « Mon père a construit près de 1800 mètres de murs en pierre sèche au cours de sa vie »…impressionnant non !!!

Les terrasses soutenues par des murets en schistes construits par le père de Claude Moritz.
Avant de terminer notre ascension, Claude Moritz nous rappelle rapidement les caractéristiques de ce terroir unique « Avec son sol très pauvre composé de schistes de Steige, sa forte pente et son exposition au sud, le Kastelberg est un grand terroir à riesling »…d’ailleurs, ce cépage occupe aujourd’hui 100% de sa surface.

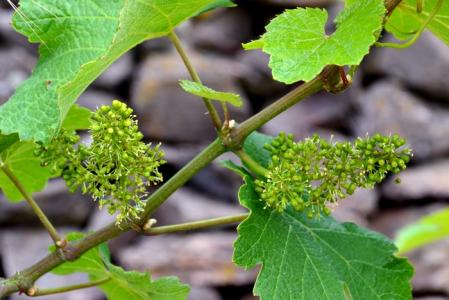
Une grappe de rieslings en fleur sur le Kastelberg.
Arrivés au sommet nous croisons le groupe du domaine Wach – dont j’avais fait partie l’année passée – puis nous nous installons pour profiter de quelques réjouissances gustatives fournies par nos hôtes du jour.

Les pique-niqueurs du domaine Guy Wach qui squattent « notre » place…

…et notre groupe qui a investit les lieux pour profiter de la vue et de l’apéritif préparé par la famille Moritz.

A manger et à boire pour récupérer de nos efforts…

…dans un vrai petit coin de paradis.
Le vin choisi par Claude Moritz pour cet apéritif au grand air est un Riesling Grand Cru Kastelberg 2011 : une expression aromatique très noble avec des arômes floraux très délicats et d’intenses notes minérales (silex, pierre chaude), une matière ample avec une texture épaisse et un équilibre très droit (3g de S.R.), une finale particulièrement saline sur le pamplemousse et le silex soutenue par des amers salivants.

Dégusté dans son « milieu naturel » ce Grand Cru nous récite son terroir avec beaucoup d’emphase : c’est un vin dense et vertical, structuré par un maillage minéral d’une force peu commune…voilà un vin qui confirme que le Kastelberg est l’un des plus grands terroirs du vignoble alsacien.

Dernière vue du sommet du Kastelberg sur l’abbatiale d’Andlau.
La suite de cette journée se passe à Blienschwiller où la famille Moritz nous attend pour le pique-nique : les tables sont prêtes, les braises du barbecue sont à point, les bouteilles sont au frais…il y a même des transats pour la sieste !

La cour de la famille Moritz avant l’arrivée des pique-niqueurs...

...et au moment de l'apéritif.
Pour arroser dignement nos agapes, Claude Moritz a prévu une belle série de bouteilles :
Crémant Brut : une bulle festive et gourmande, généreusement dosée mais qui garde un caractère frais et désaltérant.
Issu à 100% de pinot blanc ce crémant est conçu pour séduire un large public…et il y parvient sans peine.

Pinot Gris 2016 : palette aromatique déjà bien complexe, matière opulente en bouche, finale souple et bien glissante.
Ce pinot gris riche mais bien digeste a montré sa polyvalence gastronomique en répondant sans fléchir à une salade de blé au curry et en s’accordant parfaitement avec une pièce de filet de bœuf grillée et légèrement poivrée…étonnant non !
Riesling Rebbuhl 2015 : nez discret et très pur, palette classique sur le citron, les zestes et la pierre chaude, matière étirée, équilibre sec, finale marquée par de belles nuances minérales.
Situé sur les hauteurs du Kastelberg, dans un secteur granitique hautement qualitatif, le lieu-dit Rebbuhl est promis à un classement en 1° Cru et ce riesling qui nous séduit par sa finesse et sa belle minéralité prouve que ce terroir mérite amplement cette reconnaissance. MIAM !

Pinot Noir 2015 : nez exubérant et charmeur sur la cerise bien mûre, jus fruité et concentré, finale souple avec un beau sillage aromatique sur les fruits rouges.
Pinot Noir Barriques 2014 : nez complexe et raffiné, élevage bien intégré dans une palette fruitée très délicate, matière charnue avec une mâche tannique sensuelle, finale étirée qui laisse une belle impression de fraîcheur.
Avec son caractère flatteur et son exceptionnelle gourmandise, le pinot noir 2015 est absolument irrésistible aujourd’hui alors que le 2014, issus d’une vigne plantée en 1956, se présente plutôt comme un vin de gastronomie qui commence à peine à se livrer.
Bien évidemment, les deux vins se sont montrés très à l’aise à côté du barbecue…même si l’un comme l’autre pourront accompagner avec bonheur des mets plus recherchés.

A l’heure des desserts, Claude Moritz nous invite à découvrir deux gewurztraminers :
Gewurztraminer Fronholz 2016 : nez ouvert et très élégant, belle palette florale, matière ample, équilibre riche (28 g de SR) mais finale digeste avec un sillage poivré très stimulant.
Gewurztraminer Grand Cru Winzenberg 2010 : nez épanoui et bien complexe, notes de fruits exotiques (banane, mangue, litchi), matière puissante en bouche, texture épaisse avec un toucher bien gras, finale sapide et longue, développant de beaux arômes de coing frais et d’épices.
Située à mi-coteau sur le Fronholz cette parcelle de gewurztraminers replantée après avoir été détruite par la grêle en 1993, a généré un vin qui n’aura pas eu besoin de beaucoup temps pour se mettre en place et affirmer sa parfaite gourmandise. C’est le premier 2016 qui va faire son entrée dans ma cave.
Avec quelques années en plus, le gewurztraminer Grand Cru né sur les granits du Winzenberg, nous a charmés par son expression aromatique pure et typée tout en nous impressionnant par sa présence en bouche pleine d’énergie et de classe. MIAM !

En guise de « digestif », nous sommes invités à découvrir quelques vieux vins du domaine…avec comme point d’orgue un magnifique Riesling Grand Cru Kastelberg 2002 : nez sombre et complexe, dominé par des nuances minérales (silex, pierre chaude, fumée) et végétales (herbe fraîche, écorce…), bouche étirée et verticale, équilibre très droit, salinité intense, finale longue et austère avec de beaux amers salivants.
Avec son aromatique sans concession et son caractère minéral affirmé en bouche cette bouteille nous a montré l’âme du Kastelberg dans ce qu’elle avait de plus intime : c’est un vin de pierre noble et racé…mais attention, il est à réserver à un public averti !

Cette journée ensoleillée et festive m’a permis de retrouver un vigneron très attachant qui a le privilège de travailler quelques terroirs remarquables entre Andlau et Blienschswiller et qui nous gratifie chaque année d’une gamme de vins comprenant une jolie collection de Grands Crus.
Orateur à la fois pédagogue et facétieux, Claude Moritz a rythmé cette journée par des interventions et des commentaires particulièrement éclairants : nous avons tous apprécié ce maître de cérémonie qui connaissait parfaitement son sujet et qui partageait ses connaissances avec un vrai plaisir.
J’ai beaucoup aimé la grimpette sur le Kastelberg et cet apéritif organisé dans ce cadre somptueux avec un riesling Grand Cru 2011 qui s’est montré très à son aise en nous offrant une interprétation pure et précise de ce grand terroir alsacien.
Au cours du déjeuner, Claude nous a présenté quelques vins de sa gamme AOC Alsace que je ne connaissais pas trop mais qui m’ont fait une très belle impression : mention spéciale au riesling Rebbuhl 2015 – un vin gourmand et sapide qui se livre avec une belle spontanéité – et au gewurztraminer Fronholz 2016 – une friandise absolue qui séduit dès la première gorgée.
Pour ce qui est des Grands Crus, j’ai eu l’occasion à plusieurs reprises (CLIC) de vérifier leur haut niveau qualitatif et leur capacité à bien se tenir dans le temps mais je dois dire que le riesling 2011 et le gewurztraminer 2010 ont encore réussi à m’étonner…de vraies belles quilles, bravo !
J’ai également été content de pouvoir enfin visiter le nouveau caveau de dégustation du domaine Moritz : un lieu chaleureux conçu pour mettre les amateurs dans les meilleures conditions possibles pour apprécier le vin…pas impossible que le club AOC programme une réunion délocalisée du côté de Blienschwiller dans les prochains temps.

Le nouveau caveau du domaine Moritz avec son bar, sa grande table…

…et son coin plus « cosy ».
Mille mercis à tous ceux qui ont travaillé pour nous permettre de passer ce beau moment.
Ajouter un commentaire